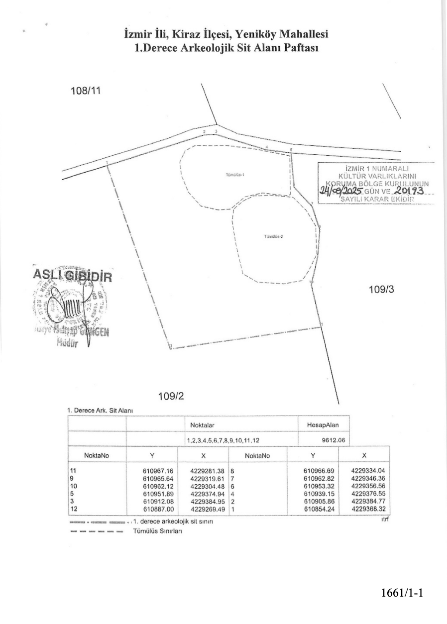
GERÇEKİZMİR - İzmir’in Kiraz ilçesi Yeniköy Mahallesi’nde kaçak kazı sonucu ortaya çıkan tümülüslerin bulunduğu alan, 1. derece arkeolojik sit alanı olarak tescillendi.
Kültür ve Turizm Bakanlığı İzmir 1 Numaralı Kültür Varlıklarını Koruma Bölge Kurulu’nun 24 Eylül 2025 tarihli yazısıyla, özel mülkiyete ait 109 ada 2 parselde kayıtlı tarla vasfındaki taşınmazda tespit edilen iki tümülüs yapısının bulunduğu alanın sit alanı ilan edilmesine karar verildi.
Kararda, 2863 sayılı Kültür ve Tabiat Varlıklarını Koruma Kanunu kapsamında yapılan değerlendirme sonucu, biri tahrip edilmiş, diğeri ayakta olan iki tümülüsün koruma altına alınması gerektiği ifade edildi.

Tapuya “1. derece arkeolojik sit alanıdır” şerhi
24 Eylül 2025'te toplanan Kurul, 20193 sayılı kararı ile 109 ada 2 parselde bulunan bu alanı "1. Derece Arkeolojik Sit Alanı" olarak tescil etti. Kurul, söz konusu taşınmazın tapu siciline “kısmen 1. derece arkeolojik sit alanıdır” şerhi düşülmesine karar verdi. Alana yönelik koruma amaçlı imar planlarının hazırlanarak kurula iletilmesi istendi. Koruma amaçlı planlar hazırlanıp onaylanıncaya kadar geçecek sürede, Kurul tarafından belirlenen geçiş dönemi koruma esasları ve kullanım şartlarının 3 yıl süreyle geçerli olacağı bildirildi.
Kaçak kazılarla ilgili güvenlik önlemi
Kararda ayrıca, alanda açılan kaçak kazı çukurlarının Müze Müdürlüğü denetiminde kapatılması, kaçak kazıya yönelik suç duyurusu sürecinin takip edilmesi ve alanla ilgili gerekli güvenlik önlemlerinin alınması hükme bağlandı.
![]() |
![]() |
![]() |
![]() |
|||||
|
|
|||||||
![]() Küfür, hakaret içeren; dil, din, ırk ayrımı yapan; yasalara aykırı ifade ve beyanda bulunan ve tamamı büyük harflerle yazılan yorumlar yayınlanmayacaktır. Neleri kabul ediyorum: IP adresimin kaydedileceğini, adli makamlarca istenmesi durumunda ip adresimin yetkililerle paylaşılacağını, yazılan yorumların sorumluluğunun tarafıma ait olduğunu, yazımın, yetkililerce, fikrim sorulmaksızın yayından kaldırılabileceğini bu siteye girdiğim andan itibaren kabul etmiş sayılırım. |











Künye
İletişim
Facebook
Twitter
RSS
Sitene Ekle
Günün Haberleri